El tiempo por Tutiempo.net
El tiempo por Tutiempo.net

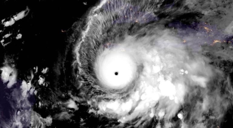
Llega huracán Melissa a categoría 5; va a Jamaica

El ciclón "Melissa" alcanzó la categoría 5 de huracán en el mar Caribe y ahora se dirige directamente hacia Jamaica, Cuba y Las Bahamas, luego de pasar en República Dominicana y Haití, donde ya provocó cuatro  muertes.

Por: Redacción 27 Octubre 2025 06 28

El Centro Nacional de Huracanes (NHC, por sus siglas en inglés) de Estados Unidos identificó que Melissa tiene vientos que rebasan los 250 kilómetros por hora y es posible que sus lluvias asociadas causen inundaciones "catastróficas" y diferentes deslizamientos de tierra.

Antes, este ciclón pasó por Haití y República Dominicana, donde dejó tres muertos en el primer país y uno más en el segundo, así como una persona desaparecida.

El vicepresidente del Consejo de Gestión de Riesgos de Desastres de Jamaica, Desmond McKenzie dijo: "Quiero pedir a los jamaicanos a tomar esto en serio".

Esperan que el epicentro del huracán toque tierra el martes en Jamaica y cruce para Cuba y las Bahamas el próximo miércoles.

Evan Thompson, director principal del servicio meteorológico de Jamaica, advirtió que la evaluación de daños y la limpieza se retrasarían de forma severa debido a los deslizamientos de tierra anticipados, inundaciones y carreteras bloqueadas.


Las Más Leídas